物件詳細 売地 青森市
detailsDETAILS
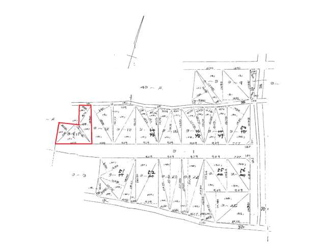
売地 東造道3丁目 売地
情報更新日:2026-04-09
東造道3丁目 間口(南向き)14.10m。約43.92坪 交通便利です*:.。.(*๓´╰╯`๓*).。.:
- 所在地
- 青森県 青森市 東造道3丁目1-15
- 価格
- 400万円
- 敷地面積
- 145.2㎡
- 建ぺい率/容積率
- 60% / 200%
- 建築条件
- 指定なし
本物件の内容や画像等は全て現況優先となります。
各画像は参考図となります。
| 交通機関 | 青い森鉄道 小柳駅車10分 | ||
|---|---|---|---|
| 周辺施設 | |||
| 周辺環境 | その他費用 | ||
| 地目 | 宅地 | 地勢 | 平坦 |
| 用途地域 | 準住居 | 土地権利 | 所有権 |
| 都市計画 | 市街化 | 国土法届 | 不要 |
| 引渡 | 即可 | 現況 | 更地 |
| セットバック | 無 | 取引態様 | 専属専任媒介 |
| 私道負担 | ─ / ─ | ||
| 法令上の制限 | |||
| 接道状況 | 一方(私道・南側・間口14.1m・幅員2.7m) | ||
| 設備 | 上水道設備(公営) 下水道設備 | ||
| 備考 | 東造道の土地です。145.20㎡(43.92坪) 上水道:私菅のため水道の分岐料は、売主様で負担します。 変形地型です。 間口が広く、南向きです*:.。.(*๓´╰╯`๓*).。.:* 詳細につきましては 携帯 070-5324-4102迄、お願いします。 よろしくお願いします。 ※同業他社による客付け可 | ||
| 取扱業者 |
(有)あおもりホームセンター 青森県知事免許(7)第2636号 青森県青森市緑1丁目2-15 TEL:017-774-4102 FAX:017-776-0575 (公社)青森県宅地建物取引業協会会員 東北地区不動産公正取引協議会加盟事業者 |
||







